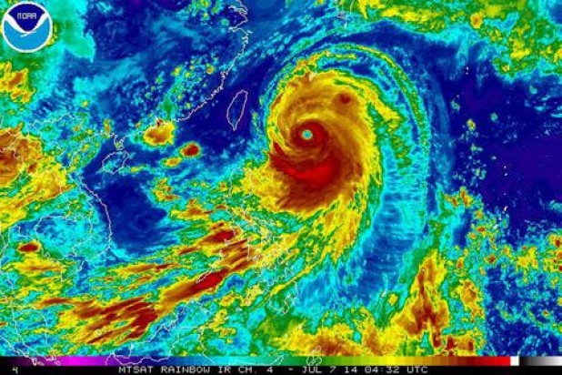
Σε υψηλή επιφυλακή η Ιαπωνία για τον τυφώνα Νεογκούρι
Με ισχυρούς ανέμους και βροχές χτυπά ο τυφώνας Νεογκούρι το νότιο τμήμα της Ιαπωνίας, οι αρχές της οποίας έχουν συστήσει στους κατοίκους των νότιων νησιών χώρας να είναι στη μέγιστη δυνατή εγρήγορση.
Διαβάστε περισσότερα στην εφημερίδα μας, στο φύλλο της Τετάρτης 9 Ιουλίου.



Αριθμός Πιστοποίησης: Μ.Η.Τ. 242014

